Canine coronavirus

Canine coronavirus
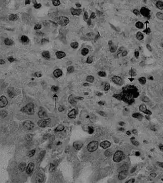
Canine coronavirus antigenen (bij de pijltjes) in canien longweefsel
Taxonomische indeling
(Geen rang):Virussen
Orde:Nidovirales
Familie:Coronaviridae
Onderfamilie:Orthocoronavirinae
Geslacht:Alphacoronavirus
Soort:Alphacoronavirus 1
Ondersoort
Canine coronavirus
Afbeeldingen op Wikimedia Commons Wikimedia Commons
Portaal  Portaalicoon   Biologie

Het Canine coronavirus (CCoV) is een met een virusomhulsel voorzien, positief enkelstrengig RNA-virus dat lid is van de soort Alphacoronavirus 1. Het virus, dat wereldwijd voorkomt, veroorzaakt een ernstige infectieuze ziekte van de ingewanden bij honden. Het virus treed de gastheercel binnen door zich te binden aan het APN-receptor van cellen. Het virus werd in 1971 in Duitsland ontdekt na een uitbraak onder waakhonden. Het virus is onderdeel van het geslacht Alphacoronavirus en ondergeslacht Tegacovirus.