Tessaromma
| Tessaromma | ||||||||||||
|---|---|---|---|---|---|---|---|---|---|---|---|---|
![]() | ||||||||||||
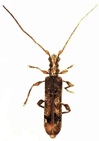
| Tessaromma undatum | ||||||||||||
| Taxonomische indeling | ||||||||||||
| ||||||||||||
| Geslacht | ||||||||||||
| Tessaromma Newman, 1840 | ||||||||||||
| Afbeeldingen op | ||||||||||||
| Tessaromma op | ||||||||||||
| ||||||||||||
Tessaromma is een kevergeslacht uit de familie van de boktorren (Cerambycidae). De wetenschappelijke naam van het geslacht werd voor het eerst geldig gepubliceerd in 1840 door Newman.[1]
Soorten
Tessaromma omvat de volgende soorten:
- Tessaromma argenteonigra Gressitt, 1959
- Tessaromma aurata McKeown, 1942
- Tessaromma loxleyae McKeown, 1942
- Tessaromma nanum Blackburn, 1899
- Tessaromma nigroapicale Aurivillius, 1917
- Tessaromma sericans (Erichson, 1842)
- Tessaromma setosa McKeown, 1942
- Tessaromma sordida McKeown, 1940
- Tessaromma tristis (Hope, 1841)
- Tessaromma truncatispina McKeown, 1940
- Tessaromma undatum Newman, 1840
Bronnen, noten en/of referenties
- ↑ (fr) Tavakilian, G. (auteur) & Chevillotte, H. (software) (2012) Base de données Titan sur les Cerambycidés ou Longicornes. (bezocht 30 januari 2014)
Geplaatst op:
20-02-2014
20-02-2014
Dit is een beginnetje over biologie. U wordt uitgenodigd om op bewerken te klikken om uw kennis aan dit artikel toe te voegen.
