Hyalopeplinus
| Hyalopeplinus | ||||||||||||
|---|---|---|---|---|---|---|---|---|---|---|---|---|
![]() | ||||||||||||
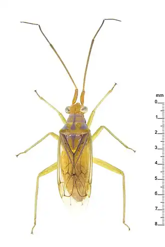
| Hyalopeplinus malayensis | ||||||||||||
| Taxonomische indeling | ||||||||||||
| ||||||||||||
| Geslacht | ||||||||||||
| Hyalopeplinus Carvalho & Gross, 1979 | ||||||||||||
| Afbeeldingen op | ||||||||||||
| Hyalopeplinus op | ||||||||||||
| ||||||||||||
Hyalopeplinus is een geslacht van wantsen uit de familie van de Miridae (Blindwantsen). Het geslacht werd voor het eerst wetenschappelijk beschreven door Carvalho & Gross in 1979.
Soorten
Het genus bevat de volgende soorten: [1][2][3]
- Hyalopeplinus antennalis (Distant, 1920)
- Hyalopeplinus cairnsensis Carvalho & Gross, 1979
- Hyalopeplinus cristovalensis Carvalho & Gross, 1979
- Hyalopeplinus fijiensis Carvalho & Gross, 1979
- Hyalopeplinus malayensis Carvalho & Gross, 1979
- Hyalopeplinus papuensis Carvalho & Gross, 1979
- Hyalopeplinus philippinensis Carvalho & Gross, 1979
- Hyalopeplinus samoanus (Knight, 1935)
- Hyalopeplinus solomonensis Carvalho & Gross, 1979
Bronnen, noten en/of referenties
- ↑ Hyalopeplinus Genus Informatie BioLib. biolib.cz. Geraadpleegd op 15 november 2023.
- ↑ Hyalopeplinus Genus Informatie Catalogue of Life. www.catalogueoflife.org. Geraadpleegd op 15 november 2023.
- ↑ Hyalopeplinus Genus Informatie GBIF. www.gbif.org. Geraadpleegd op 15 november 2023.
