Hebridae
| Hebridae | ||||||||||||
|---|---|---|---|---|---|---|---|---|---|---|---|---|
![]() | ||||||||||||
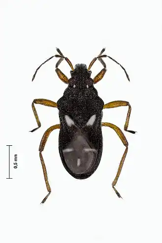
| Hebrus pusillus | ||||||||||||
| Taxonomische indeling | ||||||||||||
| ||||||||||||
| Familie | ||||||||||||
| Hebridae Amyot & Serville, 1843 | ||||||||||||
| Afbeeldingen op | ||||||||||||
| Hebridae op | ||||||||||||
| ||||||||||||
Hebridae is een familie van wantsen. De familie werd voor het eerst wetenschappelijk beschreven door Amyot & Serville in 1843.
Uiterlijk
Wantsen uit deze familie zijn klein, ze worden niet groter dan 3,5 mm. Hun hele lichaam is bedekt met fluweelachtige kleine haartjes, daarom worden ze in het Engels ook wel velvet water bugs genoemd. Hoewel alle soorten vleugels hebben zijn deze veelal rudimentair en niet volledig ontwikkeld.
Voorkomen
De meeste van deze wantsen komen voor in tropische gebieden in Azië waar ze leven op drijvende watervegetatie of begroeide oevers. Ze kunnen over het water lopen, maar bewegen zich niet voort zoals bijvoorbeeld de schaatsenrijders. Sommige soorten leven op permanent vochtige plaatsen zoals mos en rotsen in snelstromend water of bij watervallen. Een aantal soorten leeft bij brak of zout water en de soort Hebrus ruficeps overleeft zelfs, bevroren tussen het mos, de winter.
Taxonomie
De familie bevat de volgende geslachten: [1][2]
- Austrohebrus Andersen & Weir, 2004
- Hebrometra Cobben, 1982
- Hebrus Curtis, 1831
- Hebrusella Poisson, 1944
- Hyrcanus (genus) Distant, 1910
- Lipogomphus Berg, 1879
- Merragata Buchanan-White, 1877
- Miohebrus Garrouste & Nel, 2010
- Neotimasius Andersen, 1981
- Nieserius Zettel, 1999
- Stenohebrus J. Polhemus, 1995
- Timasius Distant, 1909
- ↑ ['https://www.biolib.cz/en/formsearch/?action=execute&searcharea=1&string=Hebridae Hebridae Genus Informatie BioLib]. biolib.cz. Geraadpleegd op 7 november 2023.
- ↑ Hebridae Genus Informatie GBIF. www.gbif.org. Geraadpleegd op 7 november 2023.
