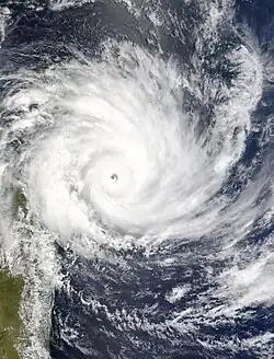
Gafilo

Gafilo is de naam van een cycloon die 7 maart 2004 Madagaskar trof. Ze maakte snelheden van zo'n 180 kilometer per uur.
De storm doodde tientallen mensen en maakte tienduizenden mensen dakloos. Veel wegen en bruggen zijn ernstig beschadigd. Ook is er een veerboot met zo'n honderd opvarenden vermist. Madagaskar vroeg hierop internationale hulp aan.