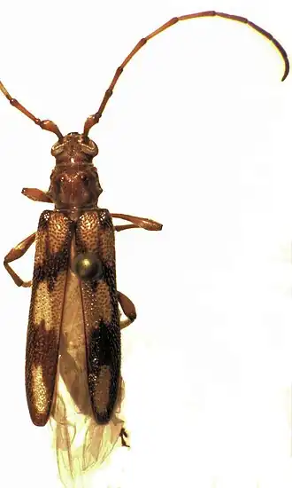
Didymocantha picta
| Didymocantha picta | ||||||||||||||
|---|---|---|---|---|---|---|---|---|---|---|---|---|---|---|
![]() | ||||||||||||||
| Taxonomische indeling | ||||||||||||||
| ||||||||||||||
| Soort | ||||||||||||||
| Didymocantha picta Bates, 1874 | ||||||||||||||
| Afbeeldingen op | ||||||||||||||
| Didymocantha picta op | ||||||||||||||
| ||||||||||||||
Didymocantha picta is een keversoort uit de familie van de boktorren (Cerambycidae). De wetenschappelijke naam van de soort werd voor het eerst geldig gepubliceerd in 1874 door Bates.[1]
Bronnen, noten en/of referenties
- ↑ (fr) Tavakilian, G. (auteur) & Chevillotte, H. (software) (2012) Base de données Titan sur les Cerambycidés ou Longicornes. (bezocht 30 januari 2014)
Geplaatst op:
17-02-2014
17-02-2014
Dit is een beginnetje over biologie. U wordt uitgenodigd om op bewerken te klikken om uw kennis aan dit artikel toe te voegen.
